マサキ

柾、正木

双子葉、離弁花、 ニシキギ科、 ニシキギ属、常緑、低木。 用語説明
花期:夏 6月〜7月
高さ:3メートル
樹皮は暗褐色で縦溝があり、若枝は緑色をしている。
葉は有柄で長さ4〜7センチの楕円形であり、浅い鋸歯があって、 厚くて光沢があり、対生する。
夏に葉腋から出る集散花序に、4弁の小さい緑白色の花をつける。
果実は球形の朔果で11月〜1月に4〜5裂し、 赤い仮種皮に包まれた種子を出す。 種子はしばらく粘液でぶら下がっているが、そのうち落ちる。
刈り込みに耐えるので、生け垣などにも使える。

花は枝先や葉腋につく。(2009/4/13)


集散花序に緑色の小さい花が咲く。(2009/4/13)


花は4弁。


若枝は緑色。





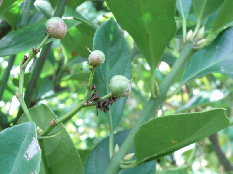
果実は丸い刮ハ。


赤く色づく。




熟すと4つに裂ける。


赤い仮種皮に包まれた種子が現れ、粘液でくっついている。(2012/1/3)


しばらくすると、粘液が乾いて種が落ちる。(2011/2/28)


葉は厚い楕円形で浅鋸歯があり、対生する。




若葉。(2017/4/13)


若芽。(2017/4/13)


伸び始めた若芽。(2017/4/13)


樹皮は暗褐色。 (2018/5/24)


双子葉植物へ戻る
単子葉植物も見る
裸子植物も見る
総目次へ戻る