ミツバツツジ

三葉躑躅

双子葉、合弁花、 ツツジ科、 ツツジ属、落葉、低木。 用語説明
花期:春 4月〜5月
高さ:2メートルぐらい
よく分枝して密に茂る。 樹皮は灰黒色で平滑であり、枝は細くて三つ叉状に出る。
葉は枝先に3枚が輪生し、 各々の葉は長さ3〜7センチの菱形状広卵形で、腺点があり、 葉柄には腺毛がある。
花は葉に先立って2〜3個づつ枝先に開く。 花は長さ3.5〜4センチの赤紫色の漏斗形で、先は5裂し、 裂片は平らに開く。 ミツバツツジ属の多くは雄しべが10本であるが、 ミツバツツジの雄しべは5本である。
果実は長さ7〜15ミリのゆがんだ円柱形の刮ハで、腺毛があり、 秋に5裂すると長楕円形の種子がでる。
多くの園芸種がある。

花は葉の展開に先立って2〜3個づつ枝先に開く。


花冠が5裂し、雄しべが5本である。(2016/4/11)


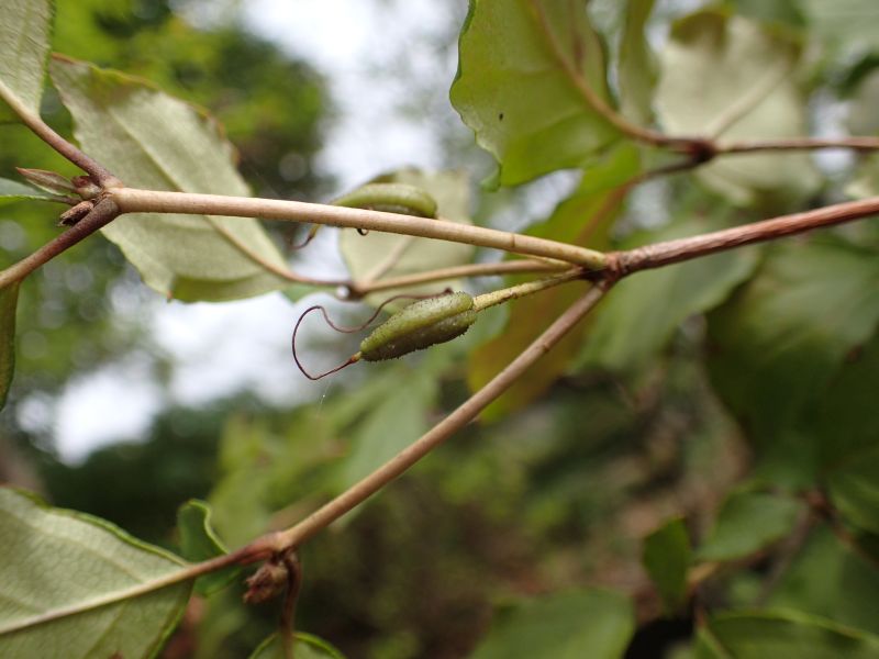
蕾は枝先に数個ずつまとまってつく。 (2017/4/4)


三つ叉状に枝分かれする。




葉は束ねた指を開くような形で展開し始める。(2016/4/15)


花が咲いてから葉が出始める。


葉は枝先に3輪生し、各々の葉は菱形状広卵形で先がとがる。(2015/5/10)


長楕円形の刮ハができる。(2016/10/5)


刮ハには5つの稜がある。(2016/10/4)


熟すと裂開する。(2016/10/5)


晩秋に紅葉する。(2015/11/30)


枝は上部でよく分枝する。(2015/5/6)


高さは約2メートル。 (2015/5/10)


樹皮は灰黒色で平滑である。(2015/11/30)


タカクマミツバツツジ。子房に腺毛があって粘る。 (2009/4/8)


ハヤトミツバツツジ。(2017/3/10)


ハヤトミツバツツジ。
花は枝先に3輪生することが多い。(2017/3/10)


ハヤトミツバツツジ。
花が咲いてから葉が展開する。(2017/4/13)


ハヤトミツバツツジ。
葉は丸みを帯び、枝先に3輪生する。(2009/9/10)


ハヤトミツバツツジ。(2010/4/29)


ナンゴクミツバツツジ。花柄と萼に毛が多い。(2016/4/29)


双子葉植物へ戻る
単子葉植物も見る
裸子植物も見る
総目次へ戻る