モクレイシ

木茘枝

双子葉、離弁花、 ニシキギ科、 モクレイシ属、常緑、低木〜小高木。 用語説明
花期:冬〜春 2月〜4月
高さ:2〜5メートル
樹皮は灰褐色で滑らか、若枝は暗紫色である。 枝はよく分枝する。
葉は長さ4〜8センチの楕円形または卵形で全縁、革質であり、対生する。
雌雄異株で、早春に葉腋に直径約5ミリの黄緑色の5弁花を数個つける。
果実は長さ約2センチの楕円形の朔果で、 冬に熟すと2裂して橙赤色の種子が現れる。

果実は楕円形の刮ハ。


出始めの花序には微毛があるようだ。(2021/10/24)


花序は葉腋につく。

花序枝は太い。 (2015/10/28)


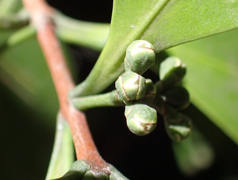
蕾は楕円形で萼片に覆われている。 (2018/9/28)


花は黄緑色で5弁。(2017/3/10)


雄しべも5個。(2017/3/10)


雄花。 (2017/3/10)


雌花。 (2017/3/10)


果実ができはじめた雌花。8弁のもある? (2017/3/10)


成長しはじめた果実。


葉は全縁・革質の楕円形で、対生する。


葉裏は少し薄い緑色。


若枝は暗紫色。(2017/9/21)


枝は対生状に出る。(2021/10/3)


枝はよく分枝する。


樹皮は灰褐色または灰黒色。(2-15/10/28)


双子葉植物へ戻る
単子葉植物も見る
裸子植物も見る
総目次へ戻る