タニワタリノキ

谷渡りの木

双子葉、合弁花、 アカネ科、 タニワタリノキ属、常緑、低木。 用語説明
花期:夏〜秋 8月〜9月
高さ:2〜5メートル
樹皮は灰褐色で、枝ははじめ微毛があるが、後に無毛となる。 枝はよく分枝する。
葉は対生し、葉身は長さ5〜11センチ、幅1.5〜3センチの倒披針形で、 つやがある。
初秋に上部の葉腋から花柄をのばし、 淡黄色の筒状の花が多数密生した球形の花序をつける。 花序は直径1センチぐらいで、花柱が針山のように突き出る。
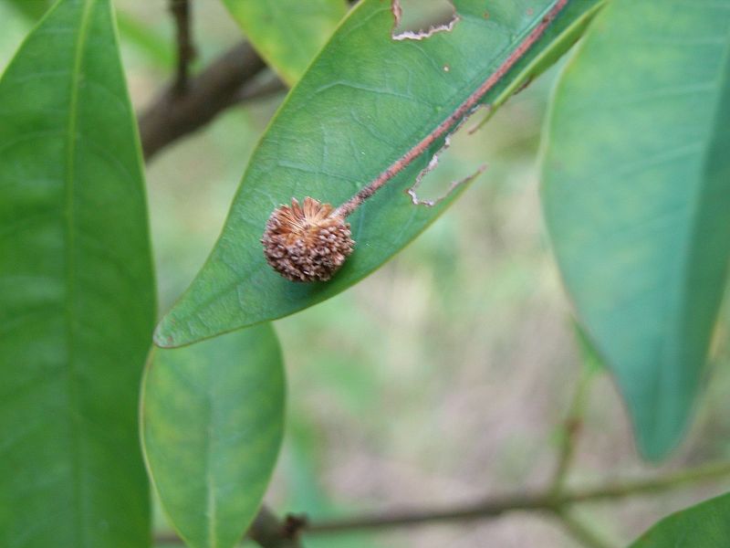
晩秋に多数の朔果が集まった球形で褐色の偽果をつける。



淡黄色で筒状の花が球形に集まっており、花冠は5裂している。 (2017/10/26)


球形の花序から花柱が針山のように突き出る。




淡褐色で筒状の刮ハが球状に集まった集合果ができる。


(2017/10/26)


果柄が長い。(2022/10/27)


種子は翼のある長三角形で、長さ約2ミリである。(2022/10/27)


葉は全縁の倒披針形で、つやがある。 (2018/6/29)


葉は対生する。 (2018/6/29)


長3角形の托葉が2個ずつ葉の左右に張り出し、その基部は合着している。 (2018/6/29)


若葉では、托葉が細長くて赤みを帯びる。 (2018/5/24)


葉は枝先付近に多くつく。




幹は褐色。 (2017/10/26)


双子葉植物へ戻る
単子葉植物も見る
裸子植物も見る
総目次へ戻る