アカネ



双子葉、合弁花、 アカネ科、 アカネ属、多年草。 用語説明
花期:夏〜秋 8月〜10月
高さ:茎の長さ60〜90センチ
茎には4稜があり、下向きの短い棘があって、分枝して他の植物などによりかかる。
葉は長さ3〜7センチの三角状卵形で、先は細くなってとがり、 基部は心形である。4枚が輪生するが、そのうち2枚は托葉が 変化したものである。
葉腋からでる集散花序に、 直径3〜4ミリの小さくて黄緑色の花が咲き、 花冠は5深裂し、裂片は尖って反り返る。 花柱は2本、雄しべは5本ある。
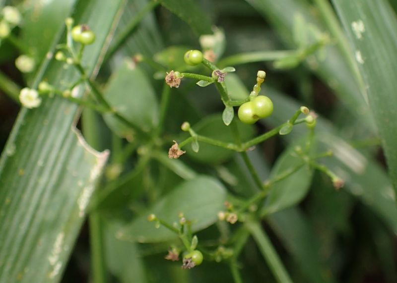
直径5〜7ミリの球形の液果がつき、黒く熟す。
太いひげ根を乾燥させると赤紫色になる(のでアカネ)。 根から赤い染料をつくるが、それで染めるにはとても手間がかかる。



黄緑色の花冠が5深裂して裂片が反り返る。 花柱は2本、雄しべは5本。 (2018/9/28)


(2016/10/4)


果実ができつつある。(2016/10/4)


黒光りする果実が2つずつつくが、一方が脱落していることもある。Photo by H. O. (1999/11/26)


葉は3角状卵形で、先が尖り、4枚が輪生する。


茎は初めは直立するが、固くないので、長くなると他の物によりかかる。 (2016/5/5)


葉柄で絡むこともある。 (2013/7/13)


葉裏は淡緑色。 (2016/10/10)


茎には4稜があり、下向きの短い棘がある。

双子葉植物へ戻る
単子葉植物も見る
裸子植物も見る
総目次へ戻る