ヒイラギナンテンモドキ

柊南天擬

双子葉、離弁花、 キンポウゲ科 、 キサンソリザ属、多年草。 用語説明
花期:春 3月〜5月
高さ:約90センチ
別名:イトスグリ
種子でも殖えるが地下茎でもよく殖える。 茎は直立して分枝し、木質化する。
葉柄の長い奇数羽状複葉がらせん状に互生する。 小葉は先のとがった卵形で、縁に切れ込みがあり、 裂片に鋸歯がある。 秋に黄色くなる。
茎の上部に円錐花序を出し、細長く枝垂れる花序枝に 暗紫色の小さい花をいくつも平開させる。 5枚の花弁のように見えるのは萼片である。
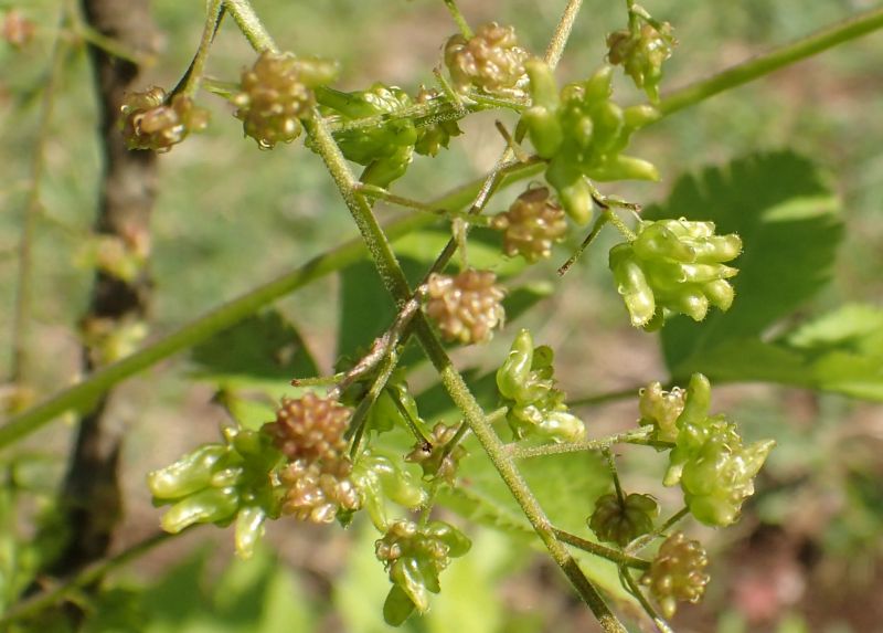
果実はそう果で、金平糖のような形をしている。
北米先住民に染料として利用されていたが、生薬としても利用される。
北米原産。

花は暗紫色の萼片を5〜7枚花弁のように拡げる。


(2017/4/13)


葉は奇数羽状複葉で、鋸歯がある。


葉は輪生状に集まって互生する。


(2017/4/13)


葉柄が長い。(2016/4/29)


奇数羽状複葉が茎先から放射状に出る点が ヒイラギナンテンに似ている? (2018/5/24)


そう果は金平糖のような形をしている。 (2018/5/24)


花序枝は茎先に束生して、枝垂れる。(2017/4/13)




双子葉植物へ戻る
単子葉植物も見る
裸子植物も見る
総目次へ戻る