コメナモミ


双子葉、合弁花、 キク科、 メナモミ属 筒状花と舌状花をもつ。1年草。 用語説明
花期:秋 9月〜10月
高さ:35〜100センチ
細い茎が直立して、対生状に分枝する。
葉は卵形〜卵状三角形で、裏面の脈上に白毛が密生する。 葉柄には翼があって、対生する。
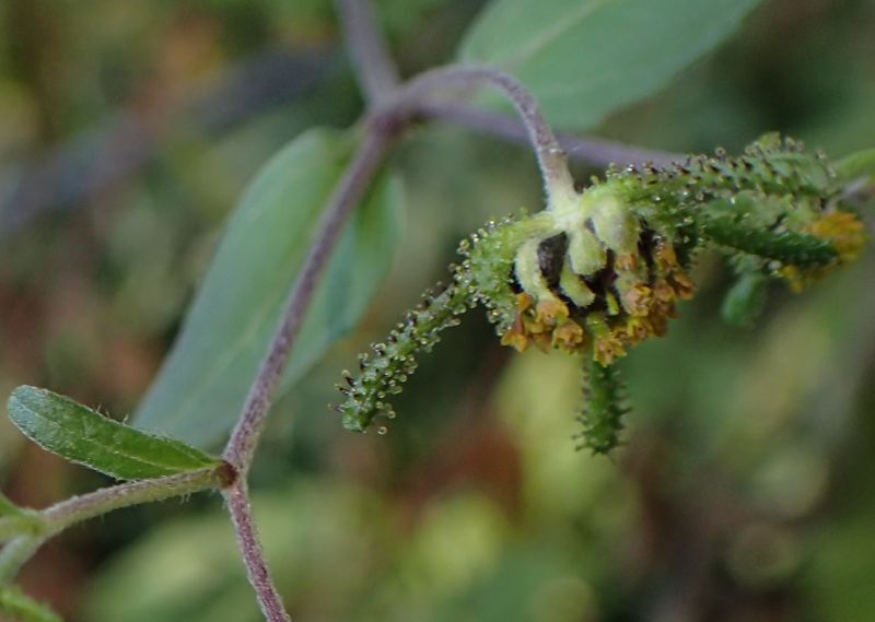
枝先に黄色い頭花が散房状に咲く。 1列に並んだ舌状花に囲まれて、筒状花が咲く。 舌状花の先は3裂する。 5個の総苞片がヒトデのように張り出し、 それには腺毛が密生していて粘る。
果実はそう果で、粘る総苞片で動物などにくっつく。

腺毛のある総苞片が広がっている。(2017/11/9)


総苞片は5本あり、水玉のように粘液を出す腺毛が多数ある。筒状花は先が5裂する。 (2022/11/2)


先の3裂した褐色の舌状花に囲まれて黄色い筒状花がある。 (2022/11/2)


(2022/11/2)


舌状花は黄色いこともある。 (2017/11/9)


花は散房状に咲く。 (2022/11/2)


茎には微毛がある。 (2017/11/9)


葉は卵状〜卵状三角形で、目立たない鋸歯があり、対生する。 (2022/11/2)


葉柄には狭い翼がある。若い枝は赤褐色。(2022/11/2)


果実はそう果で、ミカンの小袋のような形をしており、色は黒褐色。 (2022/11/2)


細い茎が直立し、枝が対生状に張り出す。枝は褐色を帯びることが多い。 (2022/11/2)


双子葉植物へ戻る
単子葉植物も見る
裸子植物も見る
総目次へ戻る