ノブドウ

野葡萄

双子葉、離弁花、 ブドウ科、 ノブドウ属、つる性。 用語説明
花期:夏 7月〜8月
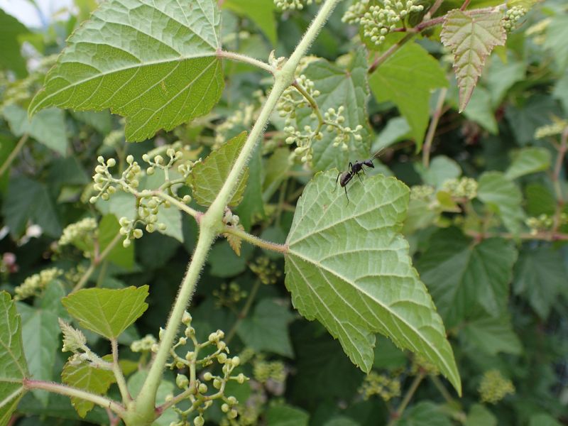
つるはジグザグにわずかに曲がり、葉と対生して巻きひげを出し、 他の植物などにからむ。
葉は互生し、3〜5裂した長さ5〜15センチの円形で、浅い鋸歯があり、 裏は淡緑色で脈腋にまばらに毛がある。
花は葉に対生する集散花序につき、花径は3〜5ミリ、黄緑色で花弁が5つある。
直径3〜5ミリの球形の液果を葉より上の方に散形状につけ、淡緑色、紫色、 碧色などになるが、食用にならない。
葉の切れ込みが深いものはキレハノブドウという。

識別点: ノブドウヤマブドウエビヅル
 ノブドウ :花は散形状につく、葉裏の毛は脈上のみ、実は紫や碧色、食べられない。
 ヤマブドウ:花は密につく、葉裏に赤褐色の毛が密生、実は黒紫色に熟し、食べられる。
 エビズル :花は密につく、葉裏に毛が密生、実は黒紫色に熟し、食べられる。



緑色の実が碧色に変化してゆく。(2012/10/8)




葉の裏面が毛で覆われていないことで、エビズルと区別できる。
巻きひげは葉に対生する。(2010/8/7)


集散花序に小さい花がつく。


花は5弁。(2010/9/20)


(2009/8/12)


葉は互生し、集散花序が葉に対生する。


茎や葉柄に毛がある。葉裏は淡緑色。(2016/7/27)




紅葉。(2014/11/16)


葉の切れ込みが深いキレハノブドウ。(2014/7/17)


キレハノブドウの果実。 (2017/10/12)


キレハノブドウ。 (2016/10/15)


双子葉植物へ戻る
単子葉植物も見る
裸子植物も見る
総目次へ戻る