アカバナマンサク

赤花満作

双子葉、離弁花、 マンサク科、 マンサク属、落葉、小高木。 用語説明
花期:冬〜春 1月〜3月
高さ:3〜8メートル
別名:ベニバナマンサク
マルバマンサク と似ているが、萼だけでなく花弁まで赤いこと、 1月から咲き始めることなどが異なる。
日本海側の山中に生えることが多い。
幹は束生することが多く、樹皮は灰褐色である。
葉は長さ5〜10センチの菱状円形ないし広卵形で、 葉の上半分に鋸歯があり、互生する。
葉の展開前に、葉腋に萼片4枚、花弁4枚の赤い花をつけ、 花弁は細い帯状で捩れている。 あまり良い香りはしない。
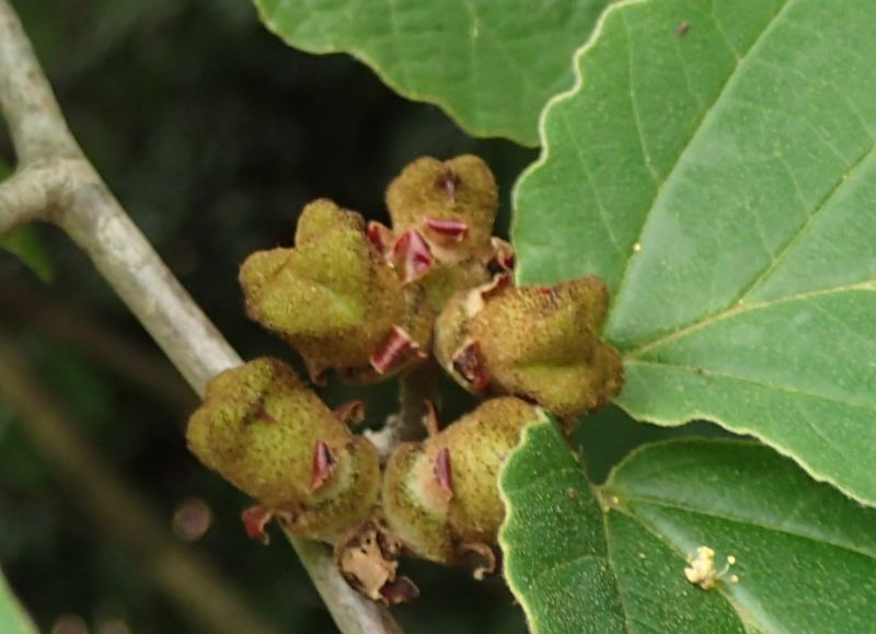
直径約1センチで小さな山谷のある刮ハができ、 熟すと2裂して、光沢のある黒い種子が飛び出す。

識別点: マンサクマルバマンサクシナマンサクアカバナマンサク
 マンサク   :葉は菱状円形で、葉裏に星状毛が散生、2月から咲く。
 マルバマンサク:葉は卵形〜扇形で、葉裏は葉脈基部以外は無毛、2月から咲く。
 シナマンサク :葉は倒卵形で、葉裏に綿毛が密生、1月から咲く。
 アカバナマンサク:葉は広卵形で、萼も花弁も赤く、1月から咲く。

(2018/5/19)


刮ハは楕円形で、淡褐色の微毛がある。赤い花弁の基部が残っている。 (2018/5/19)


花や果実は葉腋に数個つく。 (2018/5/19)


幹は株立ちすることが多い。 (2018/5/19)


双子葉植物へ戻る
単子葉植物も見る
裸子植物も見る
総目次へ戻る