カエデドコロ

楓野老

単子葉、 ヤマノイモ科、 ヤマノイモ属、つる性、多年草。 用語説明
花期:夏 7月〜8月
地下茎は横に浅くはう。
つる性で、葉は互生し、 長さ6〜12センチの大型で、カエデのように掌状に裂けるか、 朝顔の葉に似た矛形で3〜9裂する。 中央裂片は先がとがるが、他の裂片は先がまるい。 両面に短毛がある。
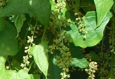
雌雄異株で、総状花序が葉腋につき、 雌花序は垂れ下がり、雄花序は横向きに出て先が垂れる。 花は小さく、黄色で6弁がある。
刮ハは短い楕円形で、下垂した軸に上向きにつき、 3枚の広い翼が120度角でついており、 裂開すると薄い膜を全周に広げた種子が風でとぶ。
イモやムカゴは作らない。

識別点: ヤマノイモナガイモオニドコロヒメドコロカエデドコロ
 ナガイモ:葉は対生し細長い厚手の三角状で基部が張り出し、花は白色、雄花序直立、ムカゴがつき、刮ハに半円形の3翼、茎や葉柄が紫色。
 ヤマノイモ:葉は対生し細長い三角状で、花は白色、雄花序直立、ムカゴがつき、刮ハに半円形の3翼。
 オニドコロ:葉は互生して丸みがあり、花は淡黄色、雄花序直立、ムカゴつかず、刮ハに長円形の3翼。
 ヒメドコロ:葉は互生し細長い三角状、花は淡黄色、雄花序下垂、ムカゴつかず、刮ハに半円形の3翼。
 カエデドコロ:葉は互生し掌状に裂け、花は黄色、雄花序下垂、ムカゴつかず、刮ハに半円形の3翼。
 タチドコロ:茎は直立後につる状となり、葉は三角状倒卵形、花は黄緑色、雄花序直立、ムカゴつかず、刮ハに半円形の3翼。

(2009/9/17)


雄花は6弁で黄色い。 (2009/9/17)


葉は3裂するものが多く、中央裂片の先は尖るが、左右の裂片の先は丸い。(2015/10/28)


しおれた雄花序。 (2017/9/21)


単子葉植物へ戻る
双子葉植物も見る
総目次へ戻る