カショウ

花椒

双子葉、合弁花、 ミカン科、 サンショウ属、落葉、広葉樹、低木。 用語説明
花期:春 4月〜5月
高さ:約3メートル
樹皮は黒褐色で幅広の棘が対生し、古枝では棘がいぼ状突起になる。
奇数羽状複葉が互生し、小葉は卵形で先半分に鋸歯がある。 葉軸に狭い翼のような稜がある。
葉腋に黄緑色の小さい花を数個つける。
果実は丸くて紅色に熟す分離果で、香りがあり、 赤い果皮にサンショウよりもっと強い辛みがある。 裂開すると黒くて光沢のある2つの種子が現れる。
近縁のものとして、ヤカショウ(野花椒、別名 トウサンショウ(唐山椒)) がある。
カショウもヤカショウも中国原産で、果皮つき果実が香辛料として使われる。

識別点: サンショウイヌザンショウフユザンショウカラスザンショウカショウ
 サンショウ   :落葉低木、小葉卵形、葉軸に狭翼、棘対生、2分果、香り強。
 イヌザンショウ :落葉低木、小葉広披針形、葉軸に狭翼、棘互生、3分果、香り弱。
 フユザンショウ :常緑低木、小葉広披針形、葉軸に翼、棘対生、2分果、香り弱。
 カラスザンショウ:落葉高木、小葉披針形、葉軸に棘、棘密生、3分果、香り無。
 カショウ    :落葉低木、小葉卵形、葉軸に狭翼、棘対生、2分果、香り強。



奇数羽状複葉の小葉は卵形で先半分に鈍鋸歯がある。(2016/5/5)


葉軸に稜がある。(2022/10/20)


円錐花序に小さな黄緑色の花をつける。(2015/5/6)


実は丸い。(2015/7/2)


実の表面につぶつぶ模様がある。 (2018/6/19)


秋に赤く熟す。 (2019/11/17)


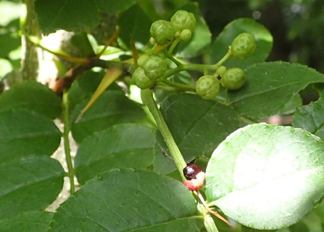
赤熟した果実が割れると黒い種子が現れる。(2015/9/29)


果実は2つずつ対となった2分果で、黒い種子には光沢がある。(2022/10/20)


(2022/10/20)


大きくて鋭い棘がある。(2016/5/5)


幹の棘はイボ状突起に変形する。(2017/10/31)


棘のまわりの皮が隆起してイボ状突起になる? (2018/6/19)


冬は落葉している。 (2018/1/10)


近縁のヤカショウ。(2016/5/5)


ヤカショウ。(2016/5/5)


双子葉植物へ戻る
単子葉植物も見る
裸子植物も見る
総目次へ戻る