サンショウ

山椒

双子葉、合弁花、 ミカン科、 サンショウ属、落葉、広葉樹、低木。 用語説明
花期:春 4月〜5月
高さ:1〜3メートル
別名:ハジカミ
樹皮は黒褐色で、コルク質のいぼ状突起があり、 枝や葉の基部に1対の鋭い棘がある。
奇数羽状複葉が互生し、小葉は長さ3センチぐらいの長楕円形で、 波状鋸歯と油点(腺点)があって、香りがよい。
雌雄異株で、春に枝先に円錐花序を出し、 萼片5個、雄しべ5本で花弁のない淡黄緑色の花をつける。 花は小さくて、直径約5ミリである。
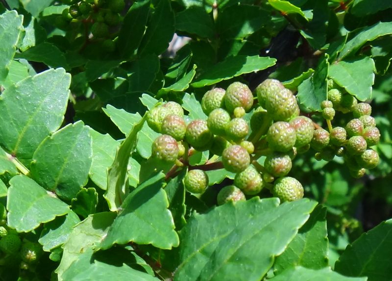
果実は2つの直径約5ミリで球形の分果で構成され、 はじめは緑色であるが、秋に赤褐色〜紅色に熟し、 その後、裂開して黒くて光沢のある楕円状球形の種子を出す。 種子には強い辛みがある。 葉も種子も香辛料として利用する。
アサクラザンショウと呼ばれる品種は、 茎にほとんど棘がなく、実も大きくて香りが強い。

識別点: サンショウイヌザンショウフユザンショウカラスザンショウカショウ
 サンショウ   :落葉低木、小葉卵形、葉軸に狭翼、棘対生、2分果、香り強。
 イヌザンショウ :落葉低木、小葉広披針形、葉軸に狭翼、棘互生、3分果、香り弱。
 フユザンショウ :常緑低木、小葉広披針形、葉軸に翼、棘対生、2分果、香り弱。
 カラスザンショウ:落葉高木、小葉披針形、葉軸に棘、棘密生、3分果、香り無。
 カショウ    :落葉低木、小葉卵形、葉軸に狭翼、棘対生、2分果、香り強。




花には花弁がない。これは雄花。 (2016/4/15)


雄花。


雌花には花柱と子房がそれぞれ2個あって、子房がふくらんでゆく。(2016/4/15)


若葉は香りが強い。


小葉の縁に波状鋸歯がある。


波状鋸歯のくぼみに明るい油点がある。 (2019/11/17)


鋭い棘が対生状に生える。 (2015/6/2)


棘。(2015/6/2)


果実も辛い。


果実の表面には凹凸がある。(2016/5/5)


果実は2分果で、熟すと赤くなる。 (2016/10/20)


(2009/9/19)


熟すと分果が裂開して黒くて艶のある種子が現れる。 殻も辛いが種子はもっと辛い。 (2018/9/19)


はじけた殻は褐色になる。 (2019/11/17)


棘も成長して丈夫になる。(2014/10/8)


樹皮は灰褐色で、棘のあとはイボ状突起となる。(2016/9/28)


アサクラザンショウという品種では、棘がほとんどない。(2017/5/19)


双子葉植物へ戻る
単子葉植物も見る
裸子植物も見る
総目次へ戻る